BEZVA-DUM.cz

Prodej pozemku Staňkov/Třeboňsko
Hledáte ke koupi dům? Nebo chcete nabídnout svoji nemovitost k prodeji? Pak využijte našich služeb. Inzerovat zdarma mohou jak realitní kanceláře, tak i fyzické osoby. Aktuálně je v databázi 921 realit.
HLEDAT V DATABÁZI NEMOVITOSTÍ
Rodinné domyNájemní domyVenkovská staveníChaty a chalupyPozemky

 

 
Kategorie:
Kraj:
Lokalita:
Cena:od  do
 
 

Prodej pozemku Staňkov/Třeboňsko

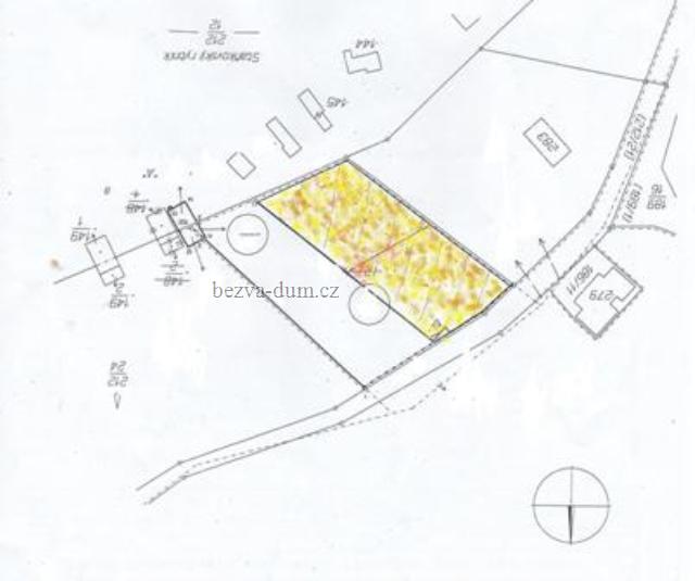
Lokalita: okres Jindřichův Hradec, na břehu rybníka Staňkov

Cena: 850,- Kč/m2

Plocha pozemku: 2000 m2

Popis:

Realitní kancelář Agentura reality Třeboň nabízí prodej výjimečného pozemku o výměře 2000 m2 na břehu Staňkovského rybníka 2 km od Chlumu u Třeboně. Plocha přístupná z místní obslužné komunikace je součástí přírodního (les, vzrostlá zeleň, louka) rekreačně využívaného území kempu na západním břehu rybníka. Jižní okraj pozemku navazuje přímo na jeho hranici, což umožňuje uživatelům přímí „vstup do vody“. Parcela disponuje přípojkami inž. sítí (voda, kanalizace, el. energie).

Zakázkové číslo: P0141

Přímý kontakt na brokera: Marie Lukešová, 775 99 98 97



Agentura Reality Třeboň

Dukelská 133, Třeboň
tel.: 775 99 98 97
[email protected]

Zapsáno: 22.03.2014 0:37:30