BEZVA-DUM.cz

St.pozemek v osadě Vyšný u Českého Krumlova.SLEVA!
Hledáte ke koupi dům? Nebo chcete nabídnout svoji nemovitost k prodeji? Pak využijte našich služeb. Inzerovat zdarma mohou jak realitní kanceláře, tak i fyzické osoby. Aktuálně je v databázi 921 realit.
HLEDAT V DATABÁZI NEMOVITOSTÍ
Rodinné domyNájemní domyVenkovská staveníChaty a chalupyPozemky

 

 
Kategorie:
Kraj:
Lokalita:
Cena:od  do
 
 

St.pozemek v osadě Vyšný u Českého Krumlova.SLEVA!

Lokalita: okres Český Krumlov, Český Krumlov

Cena: 1200000,-

Plocha pozemku: 1578 m2

Popis:

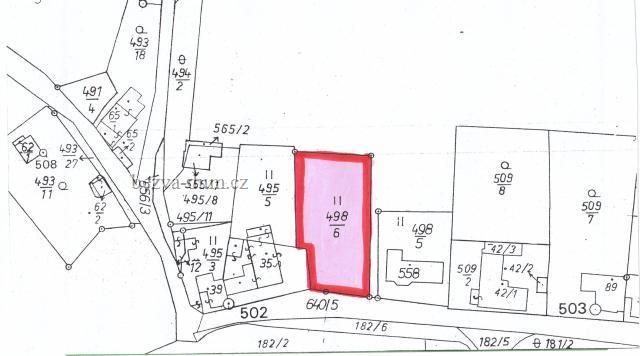
Velmi pěkný pozemek v osadě Vyšný, 2 km od Českého Krumlova, nedaleko restaurace, jihozápadní svah.U pozemku jsou inženýrské sítě - voda, el. energie, kanalizace;plyn ve Vyšném není zaveden.K dispozici je projektová dokumentace a platné stavební povolení.Výměra: 1 578 m2

Zakázkové číslo: 620P

Přímý kontakt na brokera: Reality Krumlov, 724 108 357, [email protected]


Reality Krumlov

U Poráku 512( AMBIT), Český Krumlov
tel.: 602 398 333, 724 108 357
[email protected]
www.realitykrumlov.com

Zapsáno: 08.11.2010 11:55:09